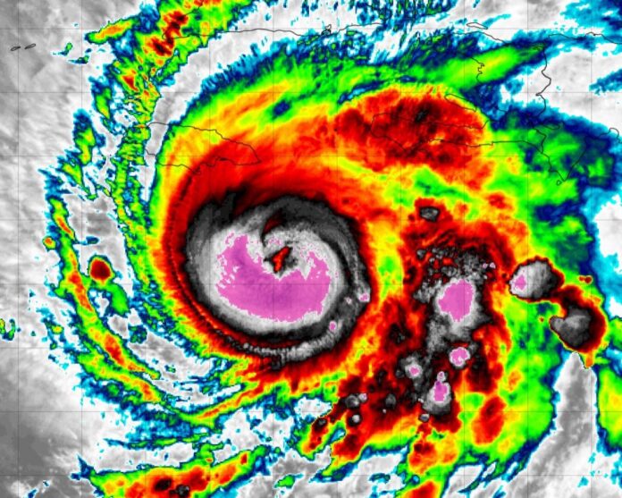
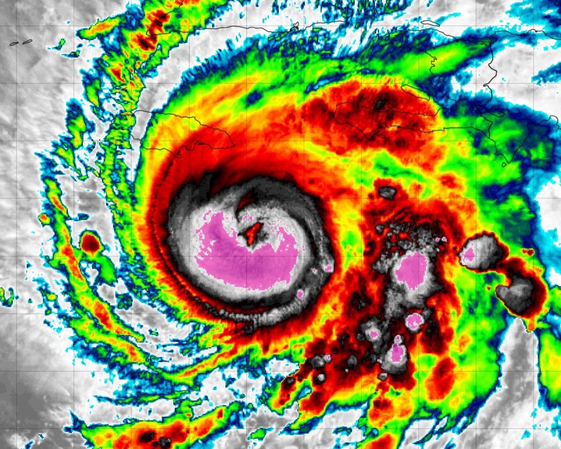
Estados Unidos.- El huracán Melissa se fortaleció y alcanzó la categoría 3, sus lluvias ya se presentan torrencialmente en Jamaica, al sur de Haití y en República Dominicana, se prevee que estas duren hasta el lunes.
Melissa se encontraba la noche del sábado 25 de octubre a 200 kilómetros al sur-sureste de Kington, Jamaica y ha 455 kilómetros al oeste-suroeste de Puerto Príncipe, Haití, tiene con vientos máximos sostenidos de 185 km/h, se desplaza lentamente hacia el oeste a una velocidad de 6 km/h, información proporcionada por el Centro Nacional de Huracanes de Estados Unidos con sede en Miami.

Se prevee que Melissa se acerque a Jamaica el domingo y podría alcanzar la categoría 4 para el martes.
Las autoridades de Haití preveen inundaciones, deslaves y lluvias catastrófics para la península de Tiburón ubicada al suroeste de Haití.
En Cuba se emitió un aviso de huracán para las provincias de Granma, Santiago de Cuba, Guantánamo y Holguín.
Hasta el momento meteoro mantiene una trayectoria errática, que ya se ha cobrado la vida de tres personas en Haití y una en República Dominicana, donde también se reporta un desaparecido.







